Servicio de Arquitectura
En SICTOG, diseñamos espacios que trascienden lo funcional. Desde nuestra sede en Metapán, ofrecemos servicios de…
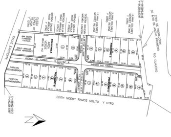
Servicio de Topografía
En SICTOG, la precisión es nuestro terreno. Desde nuestra sede en Metapán, ofrecemos servicios topográficos especializados…
Diseño de Interiores
En SICTOG, transformamos espacios en experiencias. Desde nuestra sede en Metapán, combinamos funcionalidad, estética y personalidad…
Servicios de Remedición
La remedición de terrenos es el proceso técnico y legal mediante el cual se vuelve a…
Servicios de Segregación
En Sitog ofrecemos servicios de SegregaciónLlamanos y cotiza con nosotros: 7220 9066 ¿QUÉ IMPLICA LA SEGREGACIÓN…
Contacta con nosotros
Contactanos Necesitas saber mas? Aca tienes diferentes opciones para ponerce en contacto con nosotros: Whastapp +503…
Valuó de inmuebles
SERVICIO DE VALUÓ DE INMUEBLES En SICTOG realizamos estudios técnicos y documentales para determinar el valor…













